TEST

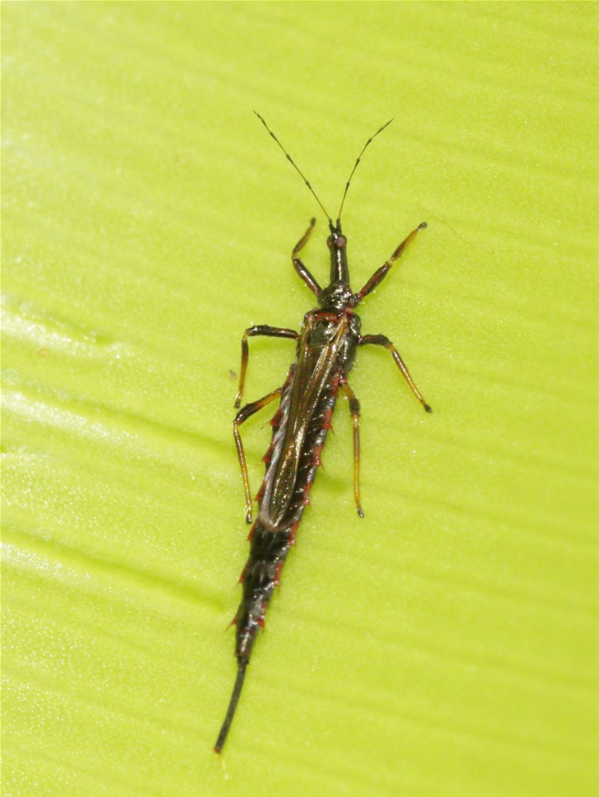
Idolothrips spectrum

Giant thrips at Acton, ACT

Idolothrips spectrum at Acton, ACT - 27 Dec 2020 12:40 PM
Idolothrips spectrum at Acton, ACT - 27 Dec 2020 12:40 PM
Idolothrips spectrum at Acton, ACT - 27 Dec 2020 12:40 PM
Idolothrips spectrum at Acton, ACT - 27 Dec 2020 12:40 PM
Request use of media

Identification history

Idolothrips spectrum 3 Jan 2021 MichaelMulvaney
Idolothrips spectrum 28 Dec 2020 TimL

Identify this sighting


Please Login or Register to identify this sighting.

User's notes

Thanks to Marcus Leach for the initial sighting.

Be the first to comment


Please Login or Register to comment.

Location information

Sighting information

Additional information

  • 5mm to 12mm Animal size

Species information

Record quality

  • Images or audio
  • More than one media file
  • Verified by an expert moderator
  • Nearby sighting(s) of same species
  • GPS evidence of location
  • Description
  • Additional attributes
834,128 sightings of 22,989 species from 14,478 members
CCA 3.0 | privacy
NatureMapr is developed by at3am IT Pty Ltd and is proudly Australian made