TEST

Heide amiculi

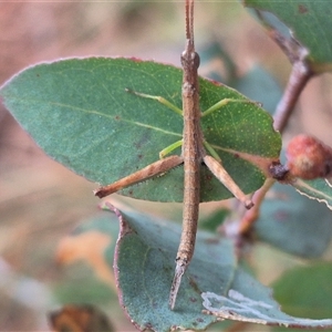
1 Heath Matchstick at Manar, NSW

Heide amiculi at Manar, NSW - suppressed
Heide amiculi at Manar, NSW - suppressed
Heide amiculi at Manar, NSW - suppressed
Heide amiculi at Manar, NSW - suppressed
Request use of media

Identification history

Heide amiculi 15 Jan 2025 RogerF
Heide amiculi 24 Nov 2024 clarehoneydove

Identify this sighting


Please Login or Register to identify this sighting.

User's notes

Taking a guess due to the antennae. Think this guy is shedding?

Be the first to comment


Please Login or Register to comment.

Location information

Sighting information

Additional information

  • 12mm to 25mm Animal size
  • Alive / healthy Animal health

Species information

  • Heide amiculi Scientific name
  • Heath Matchstick Common name
  • Not Sensitive
  • Local native
  • Non-invasive or negligible
  • Up to 760.5m Recorded at altitude

Record quality

  • Images or audio
  • More than one media file
  • Verified by an expert moderator
  • Nearby sighting(s) of same species
  • GPS evidence of location
  • Description
  • Additional attributes
834,128 sightings of 22,989 species from 14,478 members
CCA 3.0 | privacy
NatureMapr is developed by at3am IT Pty Ltd and is proudly Australian made