TEST

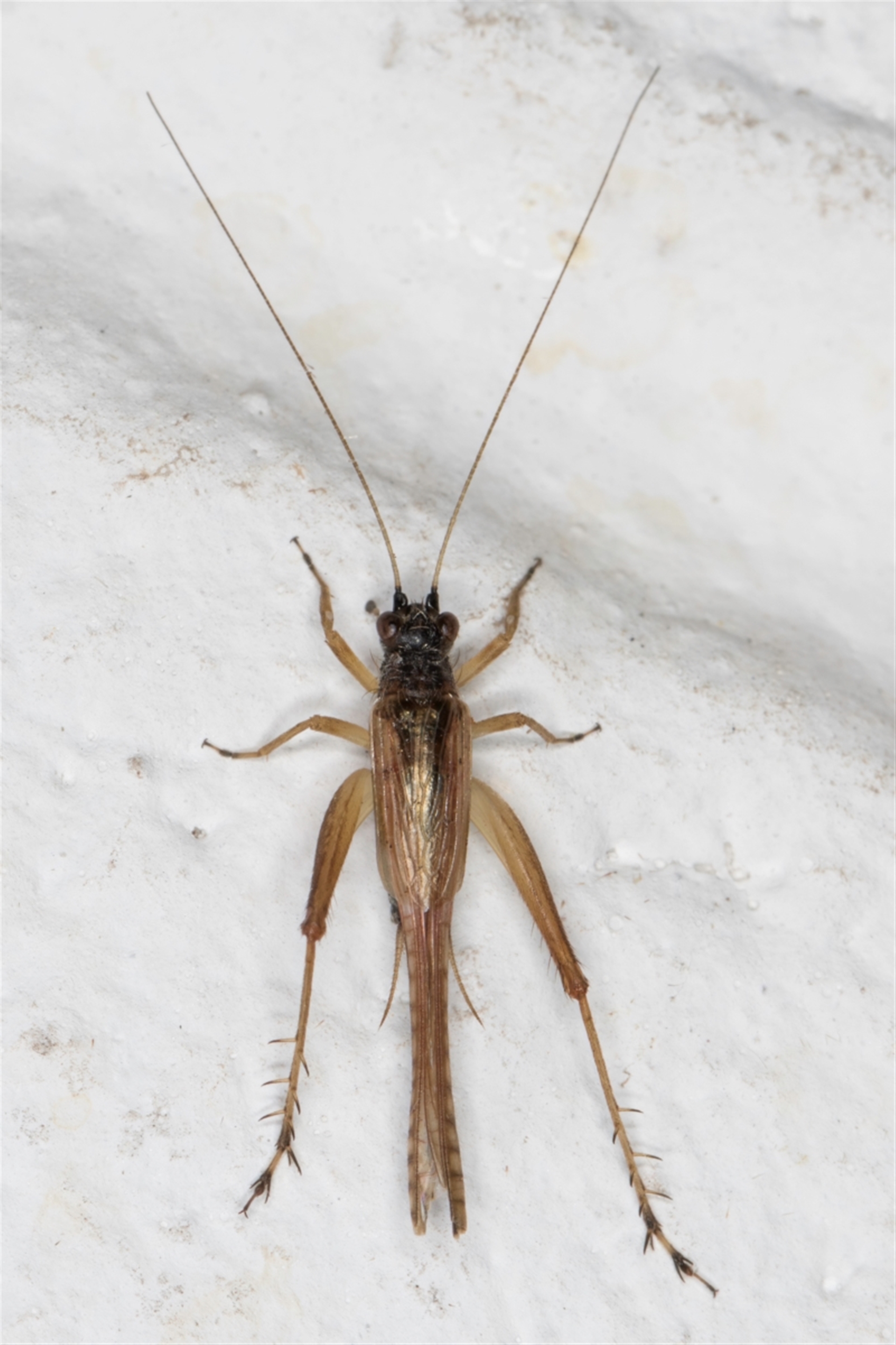
Trigonidium sp. (genus)

A Sword-tail Cricket at Melba, ACT

Trigonidium sp. (genus) at Melba, ACT - 7 Sep 2024 01:17 AM
Trigonidium sp. (genus) at Melba, ACT - 7 Sep 2024 01:17 AM
Trigonidium sp. (genus) at Melba, ACT - 7 Sep 2024 01:17 AM
Request use of media

Identification history

Trigonidium sp. (genus) 10 Sep 2024 RogerF
Unverified 7 Sep 2024 kasiaaus

Identify this sighting


Please Login or Register to identify this sighting.

User's notes

About 25mm

Be the first to comment


Please Login or Register to comment.

Location information

Sighting information

Additional information

  • 12mm to 25mm Animal size
  • Alive / healthy Animal health

Species information

Record quality

  • Images or audio
  • More than one media file
  • Verified by an expert moderator
  • Nearby sighting(s) of same species
  • GPS evidence of location
  • Description
  • Additional attributes
834,128 sightings of 22,989 species from 14,478 members
CCA 3.0 | privacy
NatureMapr is developed by at3am IT Pty Ltd and is proudly Australian made