TEST

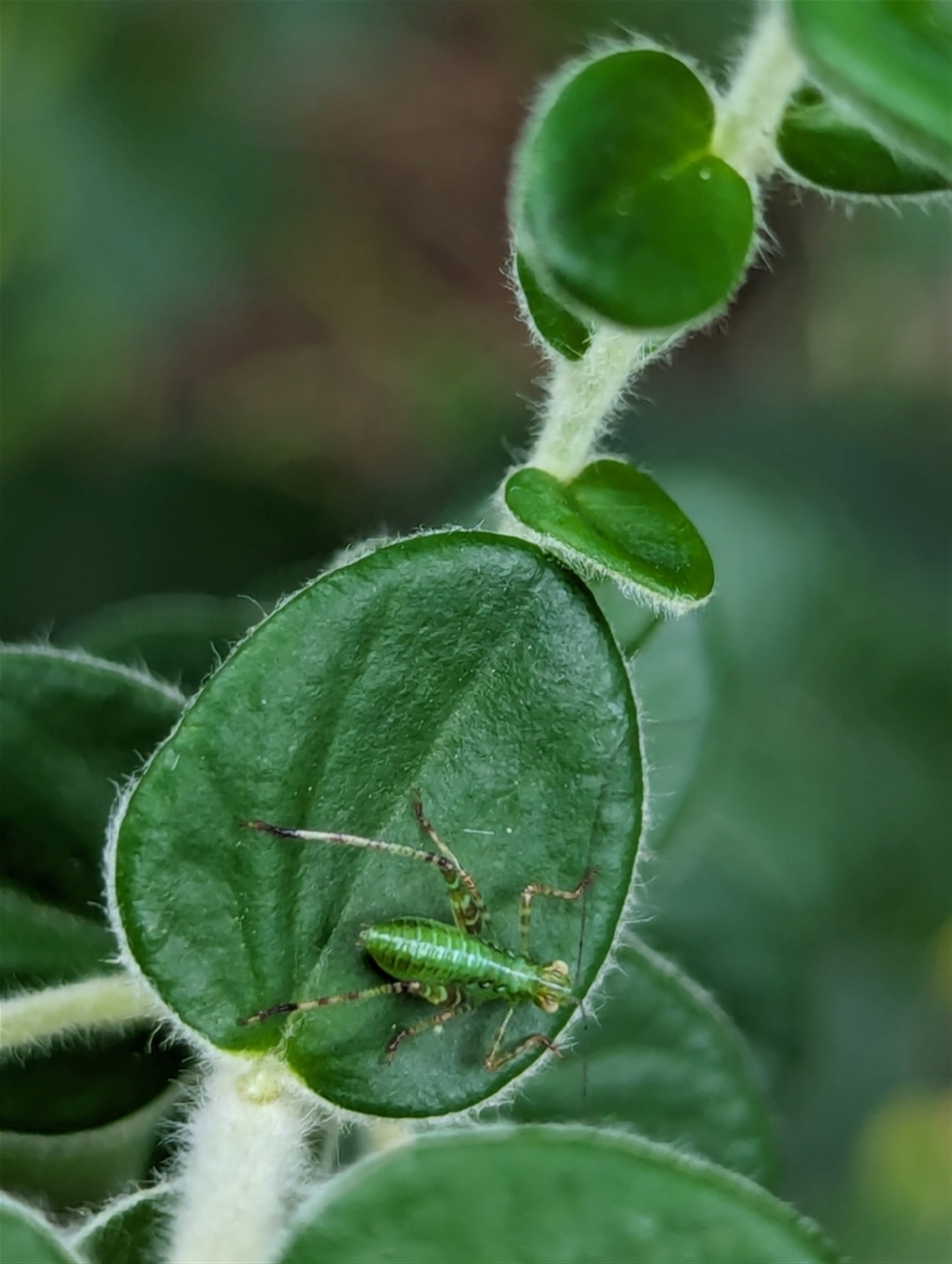
Caedicia sp. (genus)

1 Katydid at Watson, ACT

Caedicia sp. (genus) at Watson, ACT - 2 Mar 2024 12:53 PM
Caedicia sp. (genus) at Watson, ACT - 2 Mar 2024 12:53 PM
Caedicia sp. (genus) at Watson, ACT - 2 Mar 2024 12:53 PM
Caedicia sp. (genus) at Watson, ACT - 2 Mar 2024 12:53 PM
Caedicia sp. (genus) at Watson, ACT - 2 Mar 2024 12:53 PM
Request use of media

Identification history

Caedicia sp. (genus) 4 Mar 2024 RogerF
Caedicia sp. (genus) 4 Mar 2024 RogerF
Unverified 3 Mar 2024 AniseStar

Identify this sighting


Please Login or Register to identify this sighting.

Be the first to comment


Please Login or Register to comment.

Location information

Sighting information

Additional information

  • 5mm to 12mm Animal size
  • Unknown Gender
  • Alive / healthy Animal health

Species information

Record quality

  • Images or audio
  • More than one media file
  • Verified by an expert moderator
  • Nearby sighting(s) of same species
  • GPS evidence of location
  • Description
  • Additional attributes
834,128 sightings of 22,989 species from 14,478 members
CCA 3.0 | privacy
NatureMapr is developed by at3am IT Pty Ltd and is proudly Australian made