TEST

Unverified

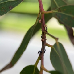
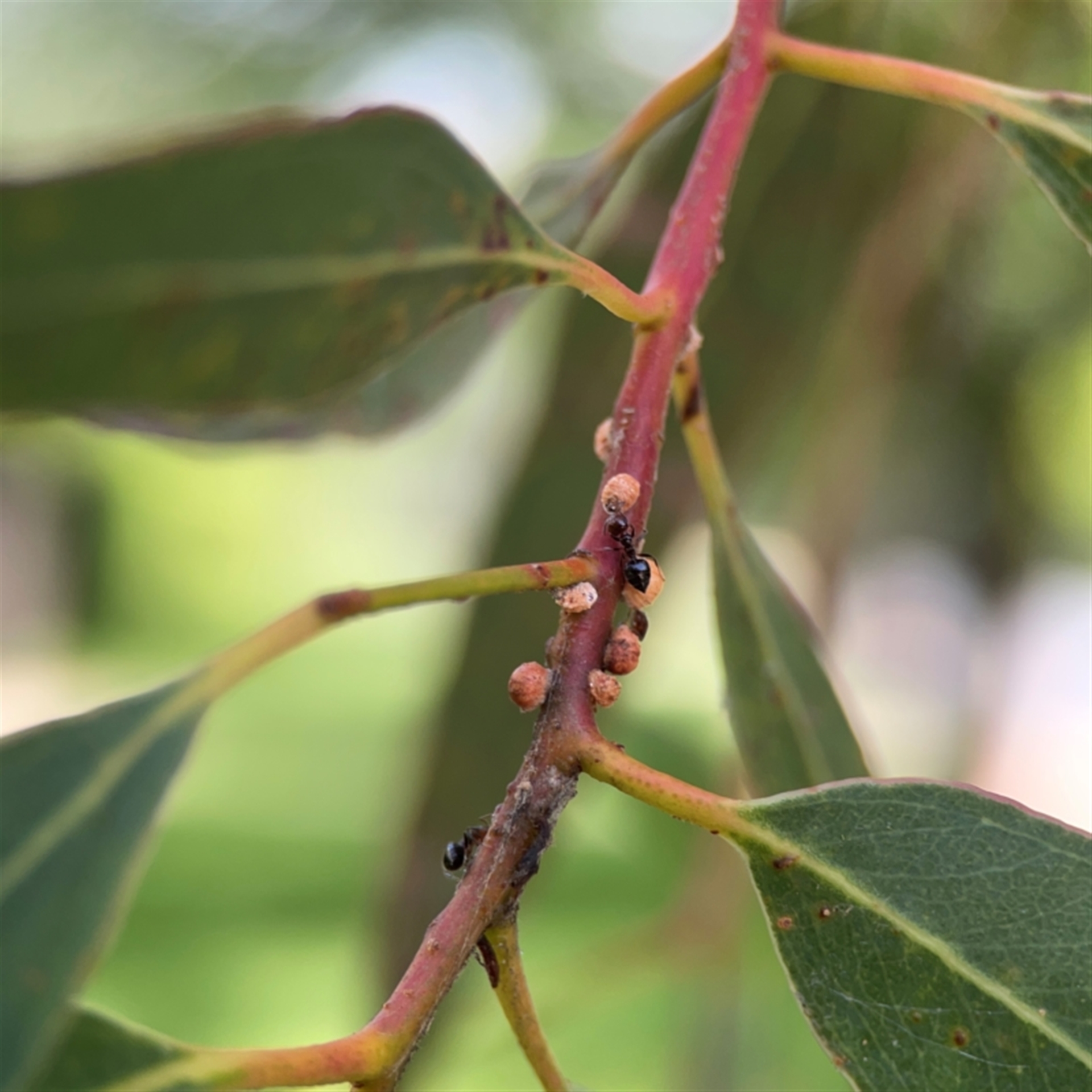
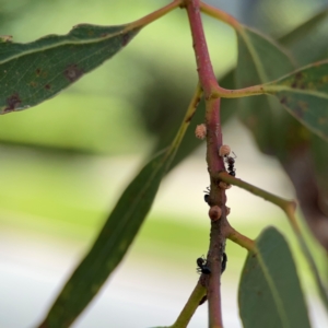
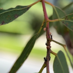
Can you identify this sighting?

Unverified at suppressed - suppressed
Unverified at suppressed - suppressed
Unverified at suppressed - suppressed
Request use of media

Identification history

Unverified 7 Jan 2024 Hejor1

Identify this sighting


Please Login or Register to identify this sighting.

Be the first to comment


Please Login or Register to comment.

Sighting information

Additional information

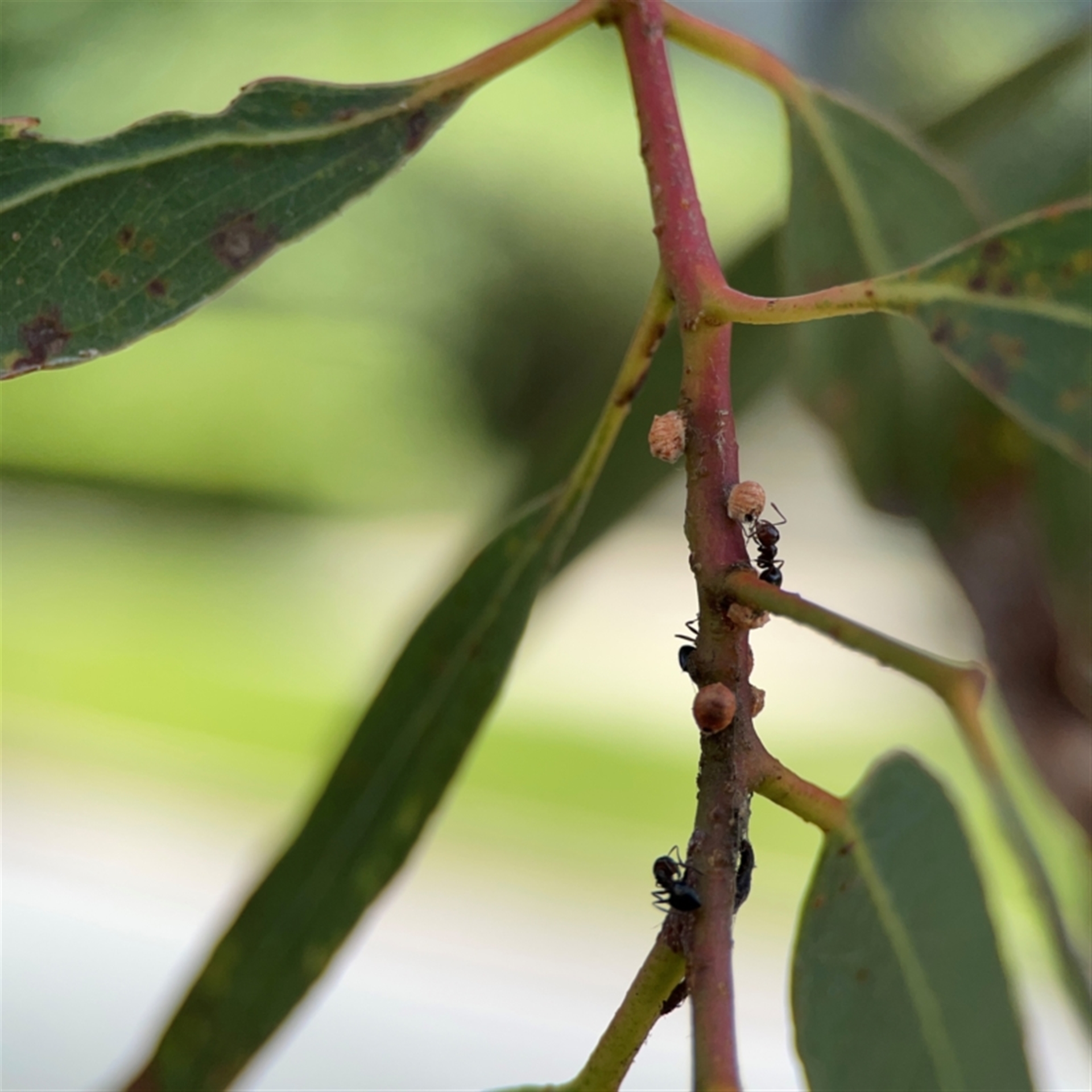
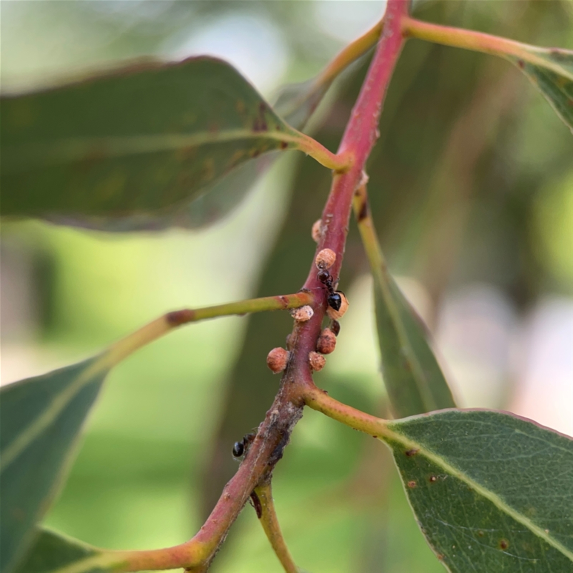
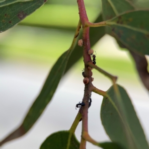
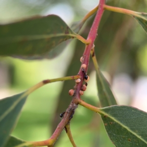
  • Ant Associated animal
  • Less than 5mm Animal size
  • False Insect on a flower

Record quality

  • Images or audio
  • More than one media file
  • Verified by an expert moderator
  • Nearby sighting(s) of same species
  • GPS evidence of location
  • Description
  • Additional attributes
834,128 sightings of 22,989 species from 14,478 members
CCA 3.0 | privacy
NatureMapr is developed by at3am IT Pty Ltd and is proudly Australian made