TEST

Trigonidium (Trigonidium) canberrae

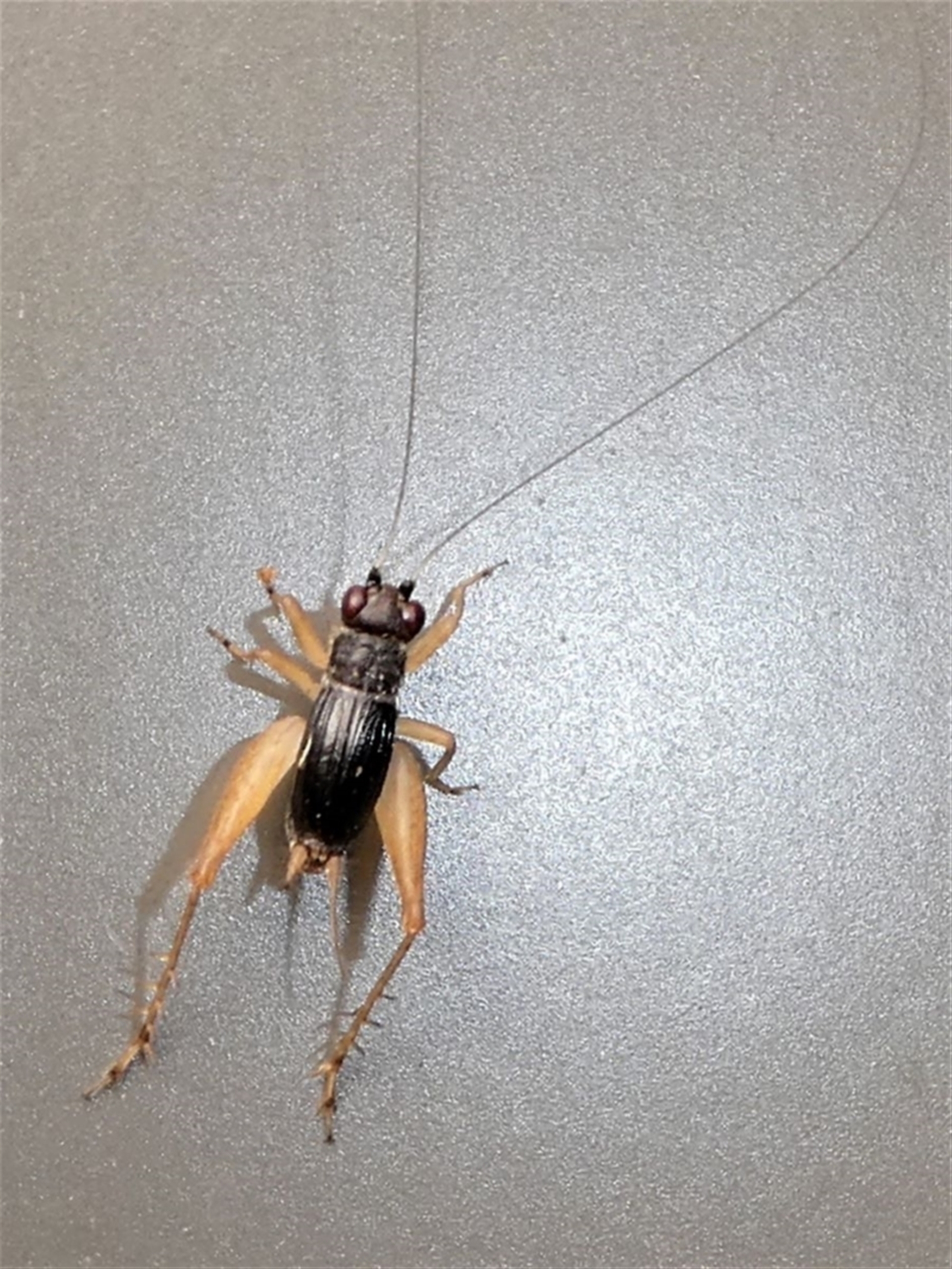
Canberra Leaf-running Cricket at Kambah, ACT

Trigonidium (Trigonidium) canberrae at Kambah, ACT - 21 Jan 2022 06:57 PM
Trigonidium (Trigonidium) canberrae at Kambah, ACT - 21 Jan 2022 06:57 PM
Trigonidium (Trigonidium) canberrae at Kambah, ACT - 21 Jan 2022 06:57 PM
Request use of media

Identification history

Trigonidium (Trigonidium) canberrae 22 Jan 2022 RogerF
Trigonidiidae (family) 21 Jan 2022 HarveyPerkins
Unverified 21 Jan 2022 HarveyPerkins

Identify this sighting


Please Login or Register to identify this sighting.

Be the first to comment


Please Login or Register to comment.

Location information

Sighting information

Additional information

  • 5mm to 12mm Animal size

Species information

Record quality

  • Images or audio
  • More than one media file
  • Verified by an expert moderator
  • Nearby sighting(s) of same species
  • GPS evidence of location
  • Description
  • Additional attributes
834,128 sightings of 22,989 species from 14,478 members
CCA 3.0 | privacy
NatureMapr is developed by at3am IT Pty Ltd and is proudly Australian made